Mais voyez-vous, dans le grand théâtre municipal de notre ville, tous les terrains ne se valent pas de la même manière. Certains se bradent à vil prix, d’autres se parent d’or. Tout dépend, semble-t-il, de qui frappe à la porte.
Le prix de la confiance
Jeudi 2 octobre 2025, le conseil municipal de Noisy-le-Sec votait la cession d’une parcelle de 512 m² à l’Union Franco-Musulmane de Noisy-le-Sec pour la somme de 257 000 €. Un projet noble : offrir un lieu de culte aux fidèles du quartier Londeau, en pleine rénovation urbaine.
Une association de bonne foi, respectueuse des valeurs républicaines, prête à contribuer au vivre-ensemble.
Le 30 octobre, l’analyse minutieuse des documents officiels révèle une réalité moins édifiante : l’association paiera 66 935 € de trop pour un terrain surévalué par une cascade d’erreurs administratives et méthodologiques.
Bienvenue dans le théâtre de l’absurde immobilier, où la rigueur cède le pas à l’approximation, et où les deniers publics – ou associatifs – se perdent dans les méandres de l’incompétence technique.
Après une délibération où la ville vend à prix bradé un terrain à une société de construction, 100€/m².
Voilà que la délibération 8 révèle qu’elle vend un terrain à une association du culte musulman 35.2% trop cher à 500€ le m² !
Cherchez l’erreur! Cherchons les erreurs.
Comment 67 000€ d’erreurs administratives peuvent-ils être facturées à une association musulmane de bonne foi ! – Analyse et décryptage
Une mosquée au prix fort ? Le terrain a été surévalué de +35.2% !
Le Jeudi 2 octobre 2025, le conseil municipal de Noisy-le-Sec votait la cession d’une parcelle communale à l’Union Franco-Musulmane de Noisy-le-Sec pour la somme de 257 000 €.
Un projet noble : offrir un lieu de culte aux fidèles du quartier Londeau, en pleine rénovation urbaine.
Une association de bonne foi, respectueuse des valeurs républicaines, prête à contribuer au vivre-ensemble.
Mais voila, le 30 octobre, Fançois Duarté décide de jeter un oeil sur ce dossier; l’analyse minutieuse des documents officiels révèle une réalité moins édifiante : l’association paiera 66 935 € de trop pour un terrain surévalué par une cascade d’erreurs administratives et méthodologiques.
L’histoire aurait pu être belle. Une association communautaire, installée rue Paul Verlaine depuis 2011, cherche à construire un lieu de prière moderne pour accueillir les fidèles du quartier Londeau.
Elle identifie une parcelle municipale, enclavée entre l’autoroute A3 et une cité HLM, au 38 Chemin de Montreuil à Claye. Certes, le terrain n’est pas idyllique – coincé entre délaissés routiers et nuisances sonores permanentes – mais l’UFMN fait preuve d’abnégation :
elle accepte les contraintes, obtient un certificat d’urbanisme, propose un projet sur deux niveaux avec 280 m² de surface de plancher et 14 places de stationnement.
Elle remplit tous les formulaires, respecte toutes les procédures, et attend patiemment l’avis de la Direction Départementale des Finances Publiques.
Le 17 décembre 2024, le verdict tombe : 257 000 €, « assortis d’une marge d’appréciation de 10% ». L’association, de bonne foi, accepte. Le 15 juillet 2025, elle confirme par écrit son accord sur ce montant.
Qui aurait l’audace de contester l’expertise d’un service de l’État, n’est-ce pas ? Car voyez-vous, dans nos sociétés civilisées, nous avons appris à confondre l’autorité avec la vérité, le tampon officiel avec l’infaillibilité.
C’était sans compter sur une analyse indépendante menée par François Duarté, lanceur d’alerte, président de l’association SENTINELLE-DUARTE, et blogueur citoyen.
Très vite, mon analyse révéle ce que Shakespeare appellerait « une tempête dans un cadastre » : erreurs de superficie, arrondis fantaisistes, décotes oubliées, comparables inadaptés.
Un burlesque administratif où chaque acte accumule les approximations, jusqu’au bouquet final : un prix gonflé de 35,2%.
L’ignorance, dit-on, n’excuse rien en droit. Aristote l’enseignait déjà : « L’erreur par négligence n’est pas moins répréhensible que l’erreur par intention. » Que les services municipaux n’aient pas su, n’aient pas vérifié, n’aient pas contesté ne les absout pas – cela les accable.
Dissection, donc, erreur par erreur, de cette évaluation dommaniale où la géométrie, l’urbanisme et l’équité se sont perdus en chemin.
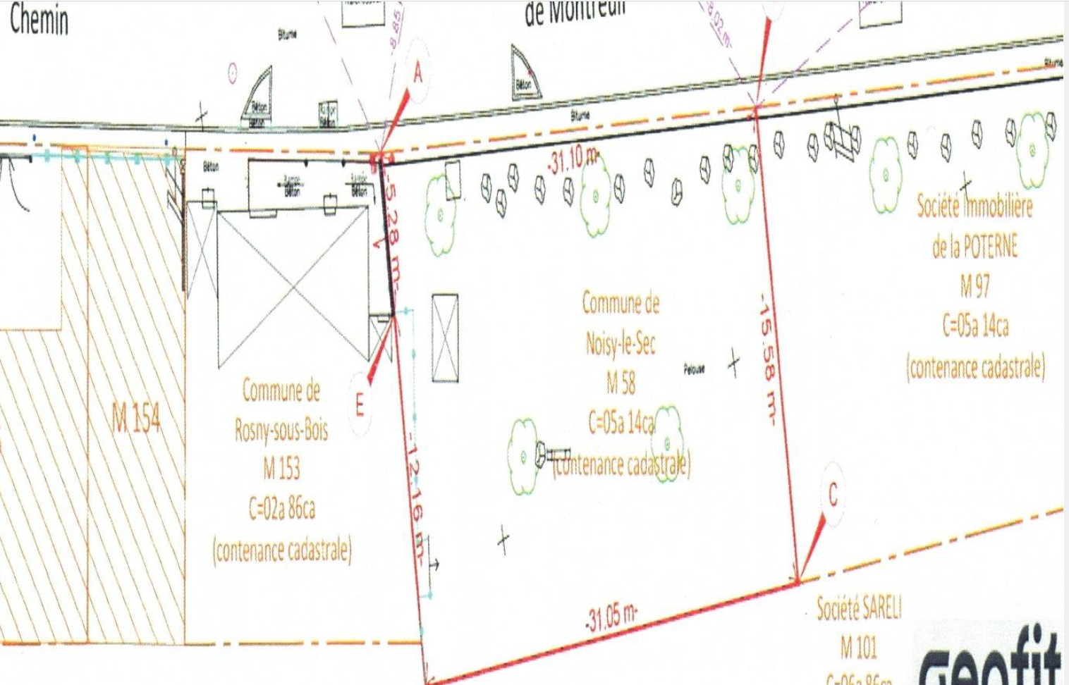
Erreur n°1 : La superficie fantôme – Quand 511,68 m² deviennent 514 m²
Trois chiffres différents pour une même parcelle cadastrale. 511,68 m²? 514 m²? 508 m²? Lequel est le bon ?
L’avis des domaines du 17 décembre 2024 indique : 514 m².
Dans la délibération municipale n°8 du 2 octobre 2025 , il est mentionné noir sur blanc : 508 m² présentée par la ville.
Le cadastre officiel est formel : la parcelle M58 mesure exactement 511,68 m². Un trapèze quasi-isocèle dont les dimensions ont été méticuleusement vérifiées : 31,10 m (côté oblique gauche), 15,55 m (petite base parallèle), 31,05 m (côté oblique droit), 17,44 m (grande base parallèle). La formule du trapèze – enseignée en classe de cinquième – donne : (15,55 + 17,44) / 2 × 31,02 = 511,68 m².
Comme si la surface d’un terrain pouvait varier selon l’humeur du rédacteur ou l’alignement des planètes. Le calcul du prix, lui, se base sur 514 m² : 514 × 500 €/m² = 257 000 €.
Or ce terrain est fait 511.68 m2 selon le cadastre et 508m2 selon la ville. On n’y comprend rien !
Nos élus semblent avoir égaré bien plus que les coordonnées cadastrales de notre commune.
Lorsque les regards se tournent davantage vers les calendriers électoraux que vers les plans d’urbanisme, lorsque l’avenir se mesure en mois plutôt qu’en décennies, les mètres carrés eux-mêmes se mettent à fluctuer au gré des convenances.
Une chose est certaine : dans cette géographie administrative aux contours incertains, c’est bien le montant le plus élevé qui a été retenu pour les musulmans noiséens. Car voyez-vous, même les chiffres ont leurs préférences.
Différence avec la réalité cadastrale : +2,32 m²
Surcoût pour l’association : 2,32 × 500 = 1 160 €
Pourquoi nous n’arrondissons pas les 511,68 m² à 512m2 ? Par respect pour les humbles musulmans ! Cet arrondi représente 160€ ! Ce n’est peut être rien, mais c’est assurément beaucoup pour les croyants qui sur le marché faisait des appels au don, par tous les temps, pour quelques euros par jour passé dans le froid et sous la pluie à récolter des dons.
L’amateurisme dénoncé
Vérifier la contenance cadastrale d’une parcelle avant d’en fixer le prix relève-t-il de l’exploit technique ? Faut-il un diplôme d’ingénieur géomètre pour consulter le cadastre officiel ? Apparemment, oui. L’évaluateur des domaines s’est contenté d’une approximation, la délibération municipale d’une autre, et personne – absolument personne – n’a jugé utile de confronter ces chiffres à la source légale : le document cadastral.
Un particulier achetant un appartement exige un diagnostic de superficie loi Carrez au mètre près. Une collectivité cédant un bien public se permet des écarts de 6 m² entre documents officiels. Le ballon de baudruche de la rigueur administrative vient de perdre quelques molécules d’air.
La victime innocente
L’UFMN paie 1 160 € pour une superficie qui n’existe pas. Doit-on lui reprocher de ne pas avoir vérifié elle-même les calculs cadastraux ? Doit-on lui demander d’auditer les services de l’État avant d’accepter leur expertise ? La confiance dans l’administration est-elle devenue une faute ?
Erreur n°2 : L’arrondi magique – Quand 464 €/m² se transforment en 500 €/m² soit une majoration arbitraire de +7.7%
Les faits
L’avis des domaines compare quatre mutations récentes de terrains à Noisy-le-Sec dans un rayon de 1 000 mètres :
- Terme 1 :
43 rue de la Fontaine – 464,04 €/m² - Terme 2 :
54 boulevard Michelet – 694,10 €/m² - Terme 3 :
Avenue Victor Hugo – 671,14 €/m² - Terme 4 :
Avenue Victor Hugo – 687,92 €/m²
L’évaluateur retient logiquement le terme n°1, le plus bas, pour tenir compte « du projet à réaliser, soit la construction d’un lieu de culte ». Jusque-là, tout va bien. Puis vient la sentence : « la valeur basse des terrains – soit le terme n° 1 – arrondie à 500 €/m² est retenue. »
Arrondie ? De 464,04 € à 500 € ?
Augmentation : +35,96 €/m² (+7,7%)
Surcoût pour l’association : 511,68 × 35,96 = 18 400 €
Parfois, dans le dédale des procédures administratives, les nombres cessent d’obéir aux lois de l’arithmétique pour suivre une logique plus… créative.
Un arrondi, dans le langage commun, consiste à simplifier un nombre à la dizaine ou à la centaine la plus proche. Arrondir 464 donne 460, ou 465 si l’on est généreux. Certainement pas 500. Il ne s’agit pas d’un arrondi, mais d’une majoration arbitraire de 7,7%.
Imaginez un commerçant qui, constatant que son produit coûte 464 €, décide de l' »arrondir » à 500 € en caisse. Imaginez un contribuable qui, devant 464 € d’impôts, envoie un chèque de 500 € en expliquant qu’il a « arrondi pour simplifier ».
L’absurdité éclate au grand jour.
Dans un rapport d’évaluation officiel, censé servir de référence juridique pour une transaction entre une collectivité et une association, un tel « arrondi » constitue une désinvolture méthodologique stupéfiante. Un manuel de bonne pratique immobilière – voire un simple cours de mathématiques – aurait suffi.
La victime innocente
L’UFMN paie 18 400 € pour un tour de passe-passe arithmétique. Elle finance l’incapacité de quelqu’un à manier une calculatrice.
Doit-on lui reprocher de ne pas avoir contesté l’expertise d’un service de l’État ?
Doit-on lui demander de vérifier la cohérence interne des calculs avant d’accepter un prix ?
Erreur n°3 : Les décotes absentes – Quand l’autoroute devient invisible
Les faits
L’avis des domaines lui-même décrit la situation : « Parcelle située entre les délaissés routiers de l’autoroute A3 et une cité HLM de Noisy-le-Sec. »
Le plan cadastral confirme visuellement :
- Au nord : autoroute A3 avec nuisances sonores permanentes (70-80 dB)
- Délaissés routiers entre la parcelle et l’A3
- Pollution atmosphérique des gaz d’échappement
- Vue sur infrastructures autoroutières
- Environnement HLM dégradé
- Accès par voie secondaire (Chemin de Montreuil à Claye)
Décote appliquée par l’évaluateur pour cette situation défavorable : 0 €
Décote appliquée pour destination cultuelle (vs tertiaire commercial) : 0 €
Les quatre comparables locaux utilisés (rue de la Fontaine, boulevard Michelet, avenue Victor Hugo) sont situés en zone urbaine normale, sans ces handicaps majeurs.
Décote justifiée pour situation défavorable : -15% minimum
Décote justifiée pour destination cultuelle : -5% minimum
Prix corrigé : 460 × 0,85 × 0,95 = 371,45 €/m²
Surcoût pour l’association : (500 – 371,45) × 511,68 = 65 767 €
Oui, il existe dans nos institutions cette étrange alchimie où les nuisances, une fois décrites sur le papier, perdent mystérieusement leur pouvoir de dépréciation. Comme si les nommer suffisait à les exorciser.
Dans toute évaluation immobilière, la situation d’un bien constitue le premier critère de valorisation. Un appartement avec vue sur la Seine vaut plus cher qu’un appartement avec vue sur un transformateur électrique. Un terrain au calme vaut plus qu’un terrain sous un couloir aérien. C’est l’ABC de l’immobilier.
L’évaluateur des domaines constate la situation défavorable – il l’écrit noir sur blanc dans son rapport – puis… l’ignore totalement dans ses calculs. Incroyable !
Comme si décrire un problème dispensait de le prendre en compte. Comme si mentionner l’autoroute suffisait à neutraliser ses nuisances.
Aucun acheteur privé n’accepterait de payer le même prix pour un terrain coincé entre l’A3 et des délaissés routiers que pour un terrain en centre-ville. Mais l’UFMN, elle, doit l’accepter. Parce que l’évaluation officielle ne prévoit pas de case « décote pour situation catastrophique » dans son formulaire ?
Quant à l’absence de décote pour la destination cultuelle – un bâtiment qui ne génère aucun revenu commercial et dont la revente est quasi impossible – elle confine au surréalisme. Comparer un lieu de culte à des « locaux tertiaires » (bureaux, commerces) équivaut à comparer des pommes et des perceuses : les deux existent, mais leur marché n’a rien de commun.
La victime innocente
L’UFMN paie 65 767 € pour des handicaps que tout le monde voit mais que personne ne chiffre. Elle finance l’incapacité de l’administration à appliquer les règles élémentaires de l’évaluation immobilière. Doit-on lui reprocher de ne pas avoir exigé une contre-expertise ? Doit-on lui demander de compenser les lacunes méthodologiques des services de l’État ?
Erreur n°4 : Et la marge de 10% ? Oubliée ? Ignorée ? Méprisée – Quand négocier devient interdit
Les faits
L’avis des domaines stipule explicitement :
« Cette valeur est assortie d’une marge d’appréciation de 10% portant la valeur minimale de cession sans justification particulière à 231 300 €. »
Et ajoute :
« Dès lors, le consultant peut, bien entendu, toujours vendre à un prix plus élevé ou acquérir à un prix plus bas sans nouvelle consultation du pôle d’évaluation domaniale. »
La Ville pouvait donc céder le terrain entre 231 300 € et 257 000 € sans avoir à se justifier.
Prix accepté par l’UFMN : 257 000 € (le prix plein)
Économie potentielle automatique : 257 000 – 231 300 = 25 700 €
L’amateurisme dénoncé
Une marge de négociation de 10% n’est pas une option théorique, c’est un outil légal destiné précisément à permettre aux parties d’ajuster le prix selon les circonstances. Dans le secteur privé, tout acquéreur tente de négocier. Dans le secteur associatif, a fortiori pour une association à but non lucratif finançant un projet d’intérêt communautaire, négocier relève du devoir de bonne gestion.
Qui a informé l’UFMN de cette marge ? Qui lui a expliqué qu’elle pouvait légitimement demander 231 300 € ? Personne. L’association a accepté le prix plein par méconnaissance de ses droits, par confiance dans l’administration, par crainte peut-être de compromettre le projet en « faisant des histoires ».
Résultat : 25 700 € laissés sur la table. Sans négociation, sans discussion, sans même tenter. Comme si l’argent associatif avait moins de valeur que l’argent privé.
La victime innocente
L’UFMN paie 25 700 € pour n’avoir pas su qu’elle pouvait ne pas les payer. Elle finance l’absence d’information, voire l’opacité délibérée, sur ses droits. Doit-on lui reprocher de ne pas être experte en procédures domaniales ?
Doit-on lui demander de deviner ce que l’administration ne lui dit pas ?
Quand 1 207 m² valent moins cher que 511,68 m²
Il est des mathématiques qui défient la raison, des arithmétiques parallèles où les lois de la logique cessent soudainement de s’appliquer. Dans le grand livre des transactions municipales de Noisy-le-Sec, certaines pages racontent des histoires que personne n’aurait osé inventer.
Les deux poids, les deux mesures
Le même jour, le 2 octobre 2025, le conseil municipal de Noisy-le-Sec votait deux délibérations. Deux cessions de terrains municipaux. Deux transactions immobilières. Mais pas le même traitement. Pas du tout.
Délibération n°7 – Parcelles K009 et L102 (rue Saint-Just) :
- Superficie : 1 207 m²
- Prix de vente : 130 000 €
- Prix au m² : 107,70 €
- Acquéreur : Construction Île-de-France (société de construction)
- Localisation : Parc d’Activités du Terminal, proche de la gare
- Destination : Parking professionnel privé pour une entreprise
Délibération n°8 – Parcelle M58 (Chemin de Montreuil à Claye) :
- Superficie : 508-514 m² (selon les documents)
- Prix de vente : 257 000 €
- Prix au m² : 500 €
- Acquéreur : Union Franco-Musulmane de Noisy-le-Sec (association cultuelle)
- Localisation : Entre l’autoroute A3 et une cité HLM
- Destination : Lieu de culte et activités culturelles
L’arithmétique de l’iniquité
Faisons les comptes, voulez-vous ?
Pour la société de construction :
- 1 207 m² × 107,70 €/m² = 130 000 €
- Terrain en zone d’activités économiques
- Proche de la gare, desservi par le RER E et le tramway T1
- Dans le Parc d’Activités du Terminal (160 entreprises)
- Usage : parking professionnel lucratif
- Valeur de marché réelle : entre 655 000 € et 1 058 000 €
- Cadeau municipal : entre 525 000 € et 928 000 €
Pour l’association musulmane :
- 512 m² × 500 €/m² = 257 000 €
- Terrain coincé entre l’autoroute A3 et une cité HLM
- Nuisances sonores permanentes (70-80 dB)
- Délaissés routiers, pollution atmosphérique
- Usage : lieu de culte sans rendement commercial
- Valeur réelle justifiée : 190 000 € maximum
- Surcharge imposée : 67 000 €
Le vertige des contrastes
Savourons un instant cette symétrie parfaite dans l’asymétrie : d’un côté, on offre un terrain deux fois plus grand à un prix cinq fois inférieur. De l’autre, on facture un terrain handicapé au prix d’un bien de premier choix. Et tout cela le même jour, dans la même salle, avec les mêmes élus.
Si la société Construction Île-de-France avait payé le même prix au mètre carré que l’UFMN, elle aurait dû débourser 603 500 € pour ses 1 207 m². Elle a payé 130 000 €. Économie : 473 500 €.
Si l’UFMN avait bénéficié du même prix au mètre carré que la société de construction, elle aurait payé 55 096 € pour ses 512 m². Elle paie 257 000 €. Surcoût : 201 904 €.
Différence de traitement totale entre les deux acquéreurs : 675 404 €.
La question qui dérange
Comment expliquer qu’un terrain situé dans un parc d’activités dynamique, à proximité de la gare, destiné à un usage commercial lucratif, se vende à 107,70 €/m² à une société de construction – qui l’occupe déjà illégalement –, tandis qu’un terrain enclavé entre une autoroute et une cité HLM, destiné à un usage cultuel non lucratif, se vende à 500 €/m² à une association de fidèles ?
Y aurait-il, dans les arcanes de l’administration municipale, une grille tarifaire que nous ignorons ? Un barème secret où certains acquéreurs bénéficient de coefficients réducteurs mystérieux, tandis que d’autres se voient appliquer des majorations inexplicables ?
Ou faut-il admettre ce que personne ne veut dire tout haut : que dans cette commune, tous les citoyens sont égaux, mais certains sont manifestement plus égaux que d’autres ?
Le silence assourdissant de Madame Sehouane
Madame Samia Sehouane, rapporteuse des deux délibérations, n’a pas jugé utile de mentionner cette disparité. Pas un mot sur le fait qu’elle propose, le même jour, de vendre un terrain à 107 €/m² à un promoteur privé et un autre à 500 €/m² à une association cultuelle.
Les élus du conseil municipal ont voté les deux délibérations. Ont-ils fait le calcul ? Ont-ils remarqué l’écart ? Se sont-ils posé la question ?
Ou préfère-t-on, dans ces moments-là, ne pas trop regarder les chiffres, ne pas trop comparer, ne pas trop réfléchir ? Car voyez-vous, certaines vérités ont cette particularité gênante : plus elles sont évidentes, plus il est difficile de prétendre ne pas les avoir vues.
Synthèse des erreurs : Anatomie d’un surpaiement
| Erreur | Surcoût pour l’UFMN |
|---|---|
| Superficie erronée (514 au lieu de 511,68 m²) | +1 160 € |
| Arrondi abusif (500 au lieu de 460 €/m²) | +20 467 € |
| Absence de décote situation (-15%) | +38 512 € |
| Absence de décote cultuelle (-5%) | +9 503 € |
| Non-négociation de la marge -10% | +25 700 € (optionnelle) |
| TOTAL SURPAIEMENT | ≈ 67 000 € |
Prix juste calculé : 511,68 m² × 371,45 €/m² = 190 065 €
Prix accepté : 257 000 €
Taux de surévaluation : +35,2%
Conseils à l’association : Reprendre la main
Monsieur le Président de l’UFMN,
Vous avez agi de bonne foi. Vous avez respecté toutes les procédures. Vous avez fait confiance à l’administration.
Cette confiance vous coûte aujourd’hui 67 000 €. Mais rien n’est définitif tant que l’acte authentique n’est pas signé.
Vous disposez de plusieurs leviers :
Demandez immédiatement une révision du prix par lettre recommandée à l’attention du Maire de la ville.
1. Exiger une expertise contradictoire indépendante
Sollicitez un géomètre-expert assermenté pour établir la superficie cadastrale exacte (511,68 m²) et un expert immobilier agréé pour évaluer le prix de marché réel compte tenu des handicaps du terrain.
Frais : 1 500-2 500 €.
Gain potentiel : 67 000 €.
Ratio bénéfice/coût : 27:1.
2. Invoquer l’erreur manifeste d’appréciation
L’article L. 213-1 du Code de l’urbanisme prévoit l’annulation des actes administratifs entachés d’erreur manifeste. Une surévaluation de 35% due à des erreurs méthodologiques cumulées constitue un cas d’école. Rédigez un courrier recommandé avec AR à la Ville exposant factuellement les quatre erreurs identifiées.
3. Proposer un prix corrigé avec justificatifs
Présentez une contre-proposition chiffrée : 190 000 € (arrondi du juste prix), en joignant les calculs détaillés (superficie cadastrale, prix de référence corrigé, décotes justifiées). Indiquez votre volonté de conclure rapidement à ce prix équitable, faute de quoi vous serez contraints d’envisager un recours contentieux.
4. Menacer poliment d’un recours pour enrichissement sans cause
Le Code civil (article 1303) protège contre l’enrichissement injustifié d’une partie au détriment d’une autre. Une collectivité publique cédant un bien 35% au-dessus de sa valeur réelle à une association d’intérêt général s’enrichit sans cause légitime. Un avocat spécialisé en droit public peut rédiger une mise en demeure précontentieuse efficace.
5. Médiatiser factuellement le dossier
Vous êtes une association transparente, citoyenne, respectueuse. Vous avez droit à l’équité. Rien ne vous interdit de communiquer publiquement – sans attaque personnelle, uniquement avec des faits et des chiffres – sur cette affaire. Le rapport de force inversera rapidement.
Pour tout cela, Sentinelle Duarté (éditrice du blog 93sang30.com, depuis 2008) reste à votre disposition.
Votre objectif est réaliste : Obtenir une cession entre 190 000 ou mieux encore, accepter à 200 000 € maximum (prix acceptable avec décote situation seule), soit une économie de 57 000 €. Avec, en bonus, quelques aménagements pris en charge par la Ville (viabilisation complémentaire, accès sécurisé) pour compenser le préjudice moral et le retard. Vous êtes en position de force.
Alternative radicale : Si la Ville refuse toute renégociation, demandez-lui d’appliquer le même prix au mètre carré que celui consenti à la société de construction (107,70 €/m²). Votre terrain coûterait alors : 512 × 107,70 = 55 136 €. Économie : 201 864 €.
Pourquoi pas ?
Si ce prix est juste pour 1 207 m² en zone d’activités près de la gare, pourquoi ne le serait-il pas pour 512 m² entre une autoroute et une cité HLM ?
Conclusion : Quelle farce est-ce là ?
Il est des erreurs qui déshonorent moins celui qui les commet que celui qui les laisse prospérer. Une évaluation dommaniale approximative, soit. Des services municipaux dépassés, passons. Mais qu’une association communautaire, porteuse d’un projet d’intérêt général, paie cash les défaillances administratives d’autrui sans que quiconque ne bronche – voilà qui interroge.
L’UFMN incarne cette République fraternelle que nous chérissons : une association de citoyens, de confessions diverses, unis par la volonté de construire ensemble un lieu de prière, de dialogue, de cohésion.
Elle respecte la loi, paie ses impôts, contribue au lien social.
En retour, elle reçoit un terrain surévalué de 35%, coincé entre une autoroute et des délaissés, pour lequel elle paiera pendant des années un crédit gonflé par l’incompétence technique de quelques fonctionnaires débordés et des élus laxistes.
Où est l’équité ? Où est la rigueur ? Où est le service public ?
La géométrie n’est pas optionnelle. L’arithmétique non plus. Vérifier une superficie cadastrale avant de fixer un prix relève de la compétence minimale attendue d’un service d’évaluation dommaniale. Appliquer des décotes pour une situation défavorable reconnue relève du b.a.-ba de l’immobilier. Informer un acquéreur de ses droits de négociation relève de la probité administrative.
Rien de cela n’a été fait. Et c’est l’UFMN qui paie l’addition.
Que l’administration assume ses erreurs. Qu’elle corrige cette évaluation fantaisiste. Qu’elle propose un prix juste – 190 000 €, pas un centime de plus. Qu’elle démontre que la République française traite ses associations cultuelles avec la même rigueur et la même équité qu’elle traite ses promoteurs immobiliers privés.
Et que les citoyens, tous, restent vigilants.
Car lorsque l’approximation devient la norme et la complaisance la règle, ce n’est plus l’intérêt général qui est servi – c’est le laisser-aller qui triomphe.
Car lorsque certains bénéficient de prix d’ami tandis que d’autres essuient les plâtres de la surcharge, ce n’est plus l’intérêt général qui est servi – c’est une logique plus trouble qui opère. Et dans ce ballet silencieux des transactions municipales, ce sont toujours les plus confiants qui dansent au prix le plus élevé, tandis que les mieux introduits glissent au rabais.
Car voyez-vous, dans le grand livre des cessions immobilières de Noisy-le-Sec, il semble exister deux tarifs. L’un pour ceux qui construisent des parkings privés. L’autre pour ceux qui bâtissent des lieux de prière.
Et cette différence, aucune géométrie, aucune arithmétique, aucun principe républicain ne peut la justifier.
Cet article s’inscrit dans le cadre de la liberté d’expression garantie par l’article 10 de la Convention européenne des droits de l’homme et la loi du 29 juillet 1881 sur la liberté de la presse.Les faits, citations et témoignages évoqués reposent sur des éléments disponibles, des documents syndicaux publics et des informations d’intérêt général au moment de la publication.Aucune imputation personnelle de nature diffamatoire n’est formulée à l’encontre d’un individu déterminé.
L’article relève d’une démarche d’information et d’analyse sur le fonctionnement institutionnel d’une collectivité publique, sans intention de nuire ni d’atteindre à l’honneur d’une personne.Toute précision ou rectification documentée sera naturellement publiée à la demande des intéressés dans le respect du droit de réponse.
